Life from Mars:
The Discovery



 

Additional Material

 

A NASA research team of scientists at the Johnson Space Center and at Stanford University has found evidence that strongly suggests primitive life may have existed on Mars more than 3.6 billion years ago.

The NASA-funded team found the first organic molecules thought to be of Martian origin; several mineral features characteristic of biological activity; and possible microscopic fossils of primitive, bacteria-like organisms inside of an ancient Martian rock that fell to Earth as a meteorite. This array of indirect evidence of past life will be reported in the August 16 issue of the journal Science, presenting the investigation to the scientific community at large to reach a future consensus that will either confirm or deny the team's conclusion.

Photographic Evidence

Following are photographic evidences for the discovery of primitive life on Mars.

Mars Life? - Microscopic Structures
In the center of this electron microscope image of a small chip from a meteorite are several tiny structures that are possible microscopic fossils of primitive, bacteria-like organisms that may have lived on Mars more than 3.6 billion years ago. A two-year investigation by a NASA research team found organic molecules, mineral features characteristic of biological activity and possible microscopic fossils such as these inside of an ancient Martian rock that fell to Earth as a meteorite. The largest possible fossils are less than 1/100th the diameter of a human hair in size while most are ten times smaller.

Microscopic Tube-like Structures
This electron microscope image is a close-up of the center part of photo number S96-12301. While the exact nature of these tube-like structures is not known, one interpretation is that they may be microscopic fossils of primitive, bacteria-like organisms that may have lived on Mars more than 3.6 billion years ago. A two-year investigation by a NASA research team found organic molecules, mineral features characteristic of biological activity and possible microscopic fossils such as these inside of an ancient Martian rock that fell to Earth as a meteorite. The largest possible fossils are less than 1/100th the diameter of a human hair in size while most are ten times smaller.

Microscopic Tubular Structures
This electron microscope image shows extremely tiny tubular structures that are possible microscopic fossils of bacteria-like organisms that may have lived on Mars more than 3.6 billion years ago. A two-year investigation by a NASA research team found organic molecules, mineral features characteristic of biological activity and possible microscopic fossils such as these inside of an ancient Martian rock that fell to Earth as a meteorite. The largest possible fossils are less than 1/100th the diameter of a human hair in size while most are ten times smaller. The fossil-like structures were found in carbonate minerals formed along pre-existing fractures in the meteorite in a fashion similar to the way fossils occur in limestone on Earth, although on a microscopic scale.

Microscopic Egg-shaped Structures
This electron microscope image shows egg-shaped structures, some of which may be possible microscopic fossils of Martian origin as discussed by NASA research published in the Aug. 16, 1996, issue of the journal Science. A two-year investigation found organic molecules, mineral features characteristic of biological activity and possible microscopic fossils such as these inside of an ancient Martian rock that fell to Earth as a meteorite. The largest possible fossils are less than 1/100th the diameter of a human hair in size while most are ten times smaller.

Microscopic Tubular Structures
This electron microscope image shows tubular structures of likely Martian origin. These structures are very similar in size and shape to extremely tiny microfossils found in some Earth rocks. This photograph is part of a report by a NASA research team published in the Aug. 16, 1996, issue of the journal Science. A two-year investigation by the team found organic molecules, mineral features characteristic of biological activity and possible microscopic fossils such as these inside of an ancient Martian rock that fell to Earth as a meteorite. The largest possible fossils are less than 1/100th the diameter of a human hair in size while most are ten times smaller.

Microscopic Tube-like Structures
This high-resolution scanning electron microscope image shows an unusual tube-like structural form that is less than 1/100th the width of a human hair in size found in meteorite ALH84001, a meteorite believed to be of Martian origin. Although this structure is not part of the research published in the Aug. 16 issue of the journal Science, it is located in a similar carbonate glob in the meteorite. This structure will be the subject of future investigations that could confirm whether or not it is fossil evidence of primitive life on Mars 3.6 billion years ago.

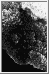
Meterorite ALH84001
This 4.5 billion-year-old rock, labeled meteorite ALH84001, is believed to have once been a part of Mars and to contain fossil evidence that primitive life may have existed on Mars more than 3.6 billion years ago. The rock is a portion of a meteorite that was dislodged from Mars by a huge impact about 16 million years ago and that fell to Earth in Antarctica 13,000 years ago. The meteorite was found in Allan Hills ice field, Antarctica, by an annual expedition of the National Science Foundation's Antarctic Meteorite Program in 1984. It is preserved for study at the Johnson Space Center's Meteorite Processing Laboratory in Houston.

Orange-colored Carbonate Mineral Globules
This photograph shows orange-colored carbonate mineral globules found in a meteorite, called ALH84001, believed to have once been a part of Mars. These carbonate minerals in the meteorite are believed to have been formed on Mars more than 3.6 billion years ago. Their structure and chemistry suggest that they may have been formed with the assistance of primitive, bacteria-like living organisms. A two-year investigation by a NASA research team found organic molecules, mineral features characteristic of biological activity and possible microscopic fossils inside of carbonate minerals such as these in the meteorite.

 

HOME Mars

 

Calvin J. Hamilton.